Santo Domingo.- La directora de la Oficina Nacional de Meteorología (Onamet), Gloria Ceballos, informó que durante la mañana de este domingo se espera un incremento de la nubosidad sobre el suroeste de la República Dominicana, producto de la influencia indirecta del huracán Melissa.
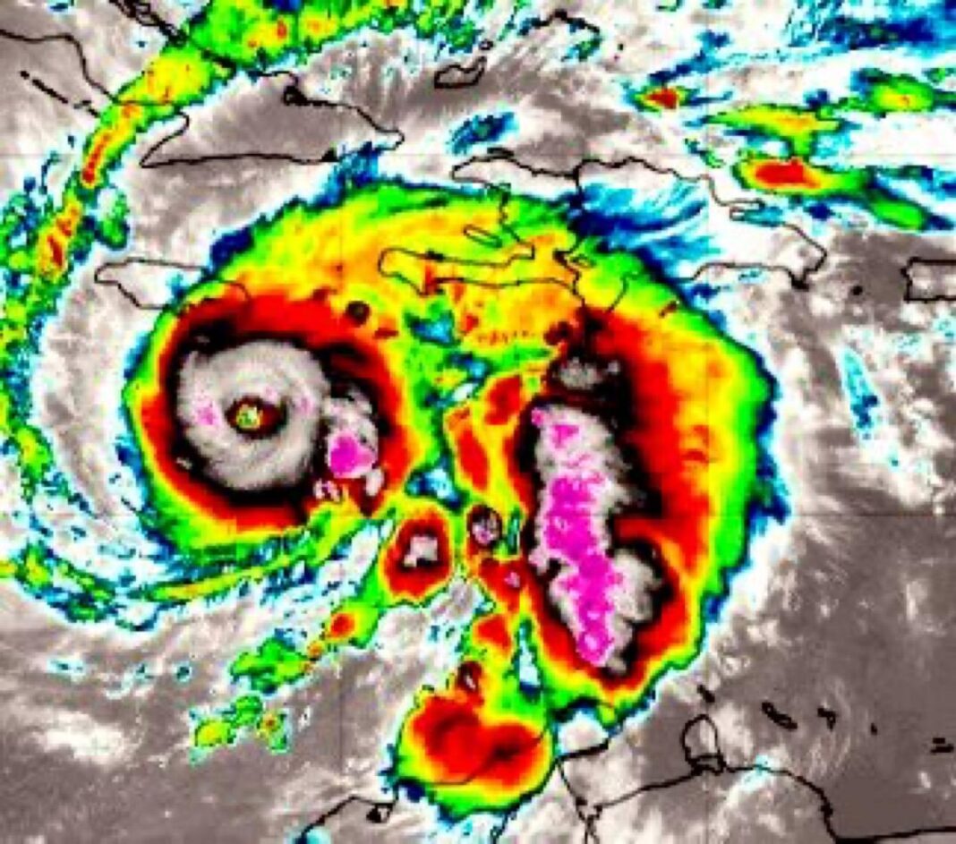
Melissa alcanzó la categoría 4 en la escala Saffir-Simpson, con vientos máximos sostenidos de 220 kilómetros por hora, desplazándose lentamente hacia el oeste a unos 7 km/h. Su presión mínima central es de 944 milibares.
Según Ceballos, se prevé que el centro del poderoso huracán se mueva cerca o sobre la isla de Jamaica hasta el martes, mientras continúa generando amplias bandas nubosas y lluvias intensas en zonas del Caribe central, incluyendo parte del territorio dominicano.






